HOTĂRÂRE nr. 793 din 25 septembrie 2025privind declanşarea procedurilor de expropriere a tuturor imobilelor proprietate privată, situate pe amplasamentul suplimentar, necesar pentru relocarea utilităţilor, care fac parte din coridorul de expropriere al lucrării de utilitate publică de interes naţional "Autostrada Focşani-Bacău"
Publicat în
MONITORUL OFICIAL nr. 904 din 2 octombrie 2025Data intrării în vigoare 02-10-2025
Având în vedere dispoziţiile art. 12 alin. (1) din Legea nr. 255/2010 privind exproprierea pentru cauză de utilitate publică, necesară realizării unor obiective de interes naţional, judeţean şi local, cu modificările şi completările ulterioare, şi ale Hotărârii Guvernului nr. 903/2022 pentru aprobarea indicatorilor tehnico-economici aferenţi obiectivului de investiţii „Autostrada Focşani-Bacău“, judeţele Vrancea şi Bacău,în temeiul art. 108 din Constituţia României, republicată, şi al art. 5 alin. (1) din Legea nr. 255/2010, cu modificările şi completările ulterioare,Guvernul României adoptă prezenta hotărâre.Articolul 1Se aprobă amplasamentul suplimentar al lucrării de utilitate publică de interes naţional, necesar pentru relocarea utilităţilor, aferent lucrării de utilitate publică „Autostrada Focşani-Bacău“, conform variantei finale a studiului de fezabilitate, prevăzut în anexa nr. 1.
Articolul 2(1) Se aprobă declanşarea procedurilor de expropriere a tuturor imobilelor proprietate privată, situate pe amplasamentul suplimentar, prevăzut la art. 1, necesar pentru relocarea utilităţilor, care fac parte din coridorul de expropriere al lucrării de utilitate publică de interes naţional „Autostrada Focşani-Bacău“, aflate pe raza teritorială a unităţilor administrativ-teritoriale Moviliţa, Mărăşeşti, Panciu, Ţifeşti, Vânători, Pufeşti şi Adjud din judeţul Vrancea şi Parava, Sascut şi Cleja din judeţul Bacău, expropriator fiind statul român, reprezentat de Ministerul Transporturilor şi Infrastructurii, prin Compania Naţională de Administrare a Infrastructurii Rutiere - S.A.(2) Se aprobă lista cuprinzând imobilele proprietate privată supuse exproprierii, potrivit alin. (1), situate pe raza unităţilor administrativ-teritoriale Moviliţa, Mărăşeşti, Panciu, Ţifeşti, Vânători, Pufeşti şi Adjud din judeţul Vrancea şi Parava, Sascut şi Cleja din judeţul Bacău, proprietarii sau deţinătorii acestora, aşa cum rezultă din evidenţele unităţilor administrativ-teritoriale, precum şi sumele individuale aferente despăgubirilor, prevăzute în anexa nr. 2.Articolul 3(1) Sumele individuale estimate de către expropriator aferente despăgubirilor pentru imobilele proprietate privată, care fac parte din coridorul de expropriere al lucrării de utilitate publică de interes naţional „Autostrada Focşani-Bacău“, aflate pe raza unităţilor administrativ-teritoriale Moviliţa, Mărăşeşti, Panciu, Ţifeşti, Vânători, Pufeşti şi Adjud din judeţul Vrancea şi Parava, Sascut şi Cleja din judeţul Bacău, sunt în cuantum de 31,5 mii lei şi se alocă de la bugetul de stat, prin bugetul Ministerului Transporturilor şi Infrastructurii, în conformitate cu Legea bugetului de stat pe anul 2025 nr. 9/2025, la capitolul 84.01 „Transporturi“, subcapitolul 03 Transport rutier, titlul 61 „Proiecte cu finanţare din sumele aferente componentei de împrumut a PNRR“, articolul 61.06 „Transferuri din bugetul de stat către întreprinderi publice şi institute naţionale de cercetare-dezvoltare pentru susţinerea proiectelor aferente PNRR“.(2)
Sumele individuale prevăzute la alin. (1) se virează de către Ministerul Transporturilor şi Infrastructurii într-un cont de trezorerie deschis pe numele Companiei Naţionale de Administrare a Infrastructurii Rutiere - S.A., în termen de cel mult 30 de zile de la data aprobării cererii de deschidere de credite, conform prevederilor art. 4 alin. (8) din Normele metodologice de aplicare a Legii nr. 255/2010 privind exproprierea pentru cauză de utilitate publică, necesară realizării unor obiective de interes naţional, judeţean şi local, aprobate prin Hotărârea Guvernului nr. 53/2011, cu completările ulterioare, la dispoziţia proprietarilor/deţinătorilor de imobile proprietate privată care constituie coridorul de expropriere al lucrării de utilitate publică de interes naţional, situate pe amplasamentul suplimentar, în vederea efectuării plăţii despăgubirilor în cadrul procedurilor de expropriere, în condiţiile legii.Articolul 4Ministerul Transporturilor şi Infrastructurii, prin Compania Naţională de Administrare a Infrastructurii Rutiere - S.A., răspunde de realitatea datelor înscrise în lista cuprinzând imobilele proprietate privată, situate pe amplasamentul suplimentar prevăzut la art. 1, necesar pentru relocarea utilităţilor, care fac parte din coridorul de expropriere al lucrării de utilitate publică de interes naţional, de corectitudinea datelor înscrise în documentele care au stat la baza stabilirii acestora, precum şi de modul de utilizare, în conformitate cu dispoziţiile legale, a sumei alocate potrivit prevederilor prezentei hotărâri.Articolul 5Planul de amplasament suplimentar al lucrării de utilitate publică de interes naţional, prevăzut la art. 1, se aduce la cunoştinţă publică şi prin afişarea la sediile consiliilor locale implicate şi, respectiv, prin afişare pe pagina proprie de internet a expropriatorului, în condiţiile legii.Articolul 6Anexele nr. 1 şi 2 fac parte integrantă din prezenta hotărâre.
PRIM-MINISTRU
ILIE-GAVRIL BOLOJAN
Contrasemnează:
Viceprim-ministru,
Marian Neacşu
Ministrul transporturilor şi infrastructurii,
Ciprian-Constantin Şerban
Ministrul finanţelor,
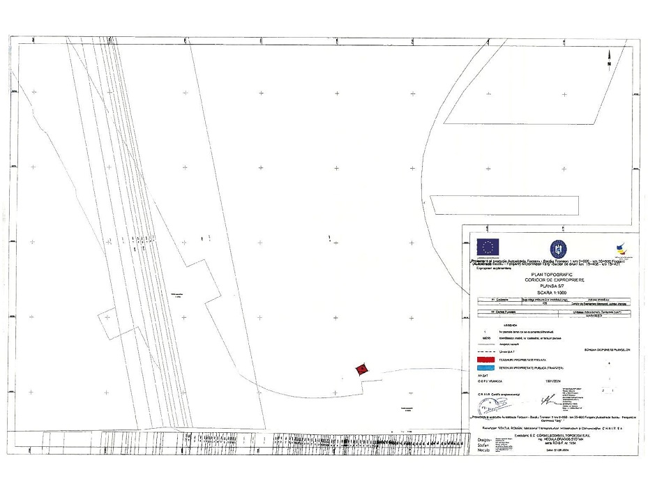
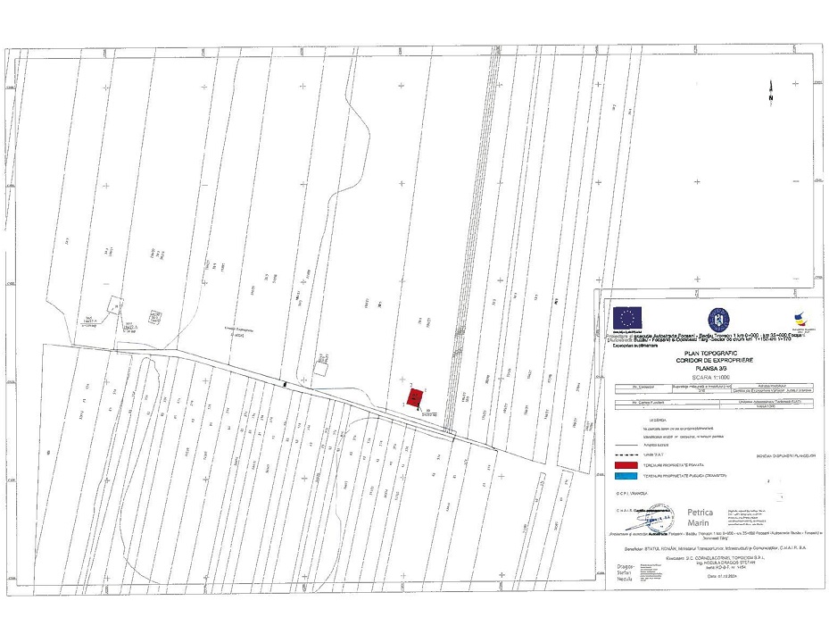
Alexandru NazareBucureşti, 25 septembrie 2025.Nr. 793.Anexa nr. 1*)*) Anexa nr. 1 este reprodusă în facsimil.PLAN DE AMPLASAMENT![]()
![]()
![]()
![]()
![]()
![]()
![]()
![]()
![]()
![]()
![]()
![]()
![]()
![]()
![]()
![]()
![]()
![]()
![]()
![]()
![]()
![]()
![]()
![]()
![]()
![]()
![]()
![]()
![]()
![]()
![]()
![]()
![]()
![]()
![]()
![]()
![]()
Anexa nr. 2LISTAcuprinzând imobilele proprietate privată, situate pe amplasamentul suplimentar, care fac parte din coridorul de expropriere al lucrării de utilitate publică de interes naţional „Autostrada Focşani-Bacău“, aflate pe raza localităţilor Moviliţa, Mărăşeşti, Panciu, Ţifeşti, Vânători, Pufeşti, Adjud din judeţul Vrancea şi Parava, Sascut, Cleja din judeţul Bacău, proprietarii sau deţinătorii acestora, precum şi sumele individuale aferente despăgubirilor
*) Pentru toate poziţiile în care la coloana „Numele şi prenumele proprietarului/deţinătorului terenului“ se regăseşte menţiunea „Proprietar neidentificat“, astfel cum reiese din evidenţele unităţilor administrativ-teritoriale, numele proprietarilor/deţinătorilor vor fi identificate ulterior, în vederea completării documentaţiilor necesare pentru punerea în aplicare a măsurilor de expropriere în condiţiile legii.**) Pentru poziţiile nr. crt. 4, 10, 33, 35, 42, 56, 57, 58 şi 59, unde titularul dreptului de proprietate este unitatea administrativ-teritorială, terenurile în cauză sunt la dispoziţia comisiilor de fond funciar, astfel cum reiese din evidenţele unităţilor administrativ-teritoriale.-----

EMITENT |
Având în vedere dispoziţiile art. 12 alin. (1) din Legea nr. 255/2010 privind exproprierea pentru cauză de utilitate publică, necesară realizării unor obiective de interes naţional, judeţean şi local, cu modificările şi completările ulterioare, şi ale Hotărârii Guvernului nr. 903/2022 pentru aprobarea indicatorilor tehnico-economici aferenţi obiectivului de investiţii „Autostrada Focşani-Bacău“, judeţele Vrancea şi Bacău,în temeiul art. 108 din Constituţia României, republicată, şi al art. 5 alin. (1) din Legea nr. 255/2010, cu modificările şi completările ulterioare,Guvernul României adoptă prezenta hotărâre.Articolul 1Se aprobă amplasamentul suplimentar al lucrării de utilitate publică de interes naţional, necesar pentru relocarea utilităţilor, aferent lucrării de utilitate publică „Autostrada Focşani-Bacău“, conform variantei finale a studiului de fezabilitate, prevăzut în anexa nr. 1.



PRIM-MINISTRU
ILIE-GAVRIL BOLOJAN
Contrasemnează:
Viceprim-ministru,
Marian Neacşu
Ministrul transporturilor şi infrastructurii,
Ciprian-Constantin Şerban
Ministrul finanţelor,
Alexandru NazareBucureşti, 25 septembrie 2025.Nr. 793.Anexa nr. 1*)*) Anexa nr. 1 este reprodusă în facsimil.PLAN DE AMPLASAMENT






































Nr. crt. | Judeţul | Unitatea administrativ-teritorială | Numele şi prenumele proprietarului/deţinătorului terenului | Tarlaua | Parcela | Numărul cadastral/Nr. topo | Numărul cărţii funciare | Categoria de folosinţă | Extravilan/ Intravilan | Suprafaţa totală a terenului (mp)![]() | Suprafaţa de expropriat teren (mp) | Valoarea de despăgubire a imobilului conform Legii nr. 255/2010 (lei) |
0 | 1 | 2 | 3 | 4 | 5 | 6 | 7 | 8 | 9 | 10 | 11 | 12 |
1 | Vrancea | Moviliţa | Gegea Maria | 121![]() | 2289 | 56160 | 56160 | Arabil | Extravilan | 28.898,00 | 59,00 | 162,60 |
2 | Vrancea | Moviliţa | Pacuraru Florin, Pacuraru Gabriela | 121 | 2289 | 54938 | 54938 | Arabil | Extravilan | 4.771,00 | 7,00![]() | 19,29 |
3 | Vrancea | Moviliţa | Gegea Maria | 121 | 2289 | 56160 | 56160 | Arabil | Extravilan | 28.898,00 | 41,00 | 113,00 |
4 | Vrancea | Moviliţa | UAT Comuna Moviliţa**) | 120 | 2288 | 55048 | 55048 | Arabil | Extravilan | 7.991,00 | 42,00 | 115,75 |
5 | Vrancea | Moviliţa | Pacuraru Florin, Pacuraru Gabriela | 120 | 2288 | 55047 | 55047 | Arabil | Extravilan | 4.702,00 | 6,00 | 16,54![]() |
6 | Vrancea | Moviliţa | Manea Marita | 120 | 2288 | 55037 | 55037 | Arabil | Extravilan | 1.655,00 | 55,00 | 151,58 |
7 | Vrancea | Moviliţa | Pacuraru Florin, Pacuraru Gabriela | 120 | 2288 | 56158![]() | 56158 | Arabil | Extravilan | 300,00 | 48,00 | 132,29 |
8 | Vrancea | Moviliţa | Dobrin Aurel | 120 | 2288 | 56164 | 56164 | Arabil | Extravilan | 2.118,00 | 71,00 | 195,68 |
9![]() | Vrancea | Moviliţa | Pacuraru Florin, Pacuraru Gabriela | 117 | 1785 | 53538 | 53538 | Arabil | Extravilan | 7.586,00 | 12,00 | 33,07 |
10 | Vrancea | Moviliţa | Uat Comuna Moviliţa**) | 117 | 1771 | - | -![]() | Arabil | Extravilan | 2.100,00 | 37,00 | 101,97 |
11 | Vrancea | Mărăşeşti | Ghimpu Ioan, Diaconu Mariţica | 142 | 1353 | 56320 | 56320 | Arabil | Extravilan | 33.855,00 | 41,00 | 407,75 |
12 | Vrancea![]() | Mărăşeşti | Catu Anita | 142 | 1353 | - | - | Arabil | Extravilan | 5.187,00 | 32,00 | 318,24 |
13 | Vrancea | Mărăşeşti | Soare Constantin | 142 | 1353 | - | - | Arabil![]() | Extravilan | 7.781,00 | 9,00 | 89,51 |
14 | Vrancea | Mărăşeşti | Marin Nelu, Marin Lidia | 142, 143 | 1353, 1360 | 53738 | 53738 | Arabil | Extravilan | 5.021,00 | 2,00 | 19,89 |
15 | Vrancea | Mărăşeşti![]() | Soare Toader | 142 | 1353 | - | - | Arabil | Extravilan | 4.918,00 | 1,00 | 9,95 |
16 | Vrancea | Mărăşeşti | Bratosin Maria | 142 | 1353 | - | - | Arabil | Extravilan | 4.926,00 | 3,00 | 29,84 |
17 | Vrancea | Mărăşeşti | Harneci Ion | 142 | 1353 | - | - | Arabil | Extravilan | 4.926,00 | 3,00 | 29,84 |
18 | Vrancea | Mărăşeşti | Olteanu Ruxanda![]() | 142 | 1353 | - | - | Arabil | Extravilan | 7.400,00 | 37,00 | 367,97 |
19 | Vrancea | Mărăşeşti | Pavel Anghelita | 142 | 1353 | - | - | Arabil | Extravilan | 4.933,00![]() | 4,00 | 39,78 |
20 | Vrancea | Mărăşeşti | Caba Nicu | 142 | 1353 | - | - | Arabil | Extravilan | 4.971,00 | 31,00 | 308,30 |
21 | Vrancea | Mărăşeşti | Voineag Constantin | 142![]() | 1353 | - | - | Arabil | Extravilan | 4.971,00 | 10,00 | 99,45 |
22 | Vrancea | Mărăşeşti | Tataru Dorin, Tataru Livioara | 143 | 1370 | 50496 | 50496 | Arabil | Extravilan | 5.089,00 | 35,00![]() | 112,39 |
23 | Vrancea | Mărăşeşti | Benim Stan | 143 | 1370 | - | - | Arabil | Extravilan | 5.000,00 | 6,00 | 19,27 |
24 | Vrancea | Mărăşeşti | Opinca Vasile | 57 | 321![]() | - | - | Arabil | Extravilan | 24.956,00 | 126,00 | 1.253,07 |
25 | Vrancea | Mărăşeşti | Sava Nicolae | 57 | 321 | - | - | Arabil | Extravilan | 42.487,00 | 49,00 | 487,31![]() |
26 | Vrancea | Mărăşeşti | Negropontes Teodor | 142 | 1353 | - | - | Arabil | Extravilan | 500.000,00 | 126,00 | 404,59 |
27 | Vrancea | Panciu | Kamel Maher, Kamel Adriana | 109 | 1961 | 57986![]() | 57986 | Arabil | Extravilan | 12.490,00 | 90,00 | 835,38 |
28 | Vrancea | Panciu | Damian Gheorghe | 109 | 1961 | 58030 | 58030 | Arabil | Extravilan | 4.525,00 | 36,00 | 334,15 |
29 | Vrancea | Panciu | Ghindar Valerica | 109 | 1961 | 58018 | 58018 | Arabil | Extravilan | 3.168,00 | 22,00 | 204,20 |
30 | Vrancea | Panciu | Jelea Cosmina Alexandra | 109 | 1961 | 58021 | 58021![]() | Arabil | Extravilan | 4.476,00 | 104,00 | 965,33 |
31 | Vrancea | Ţifeşti | Limsilva Forest - S.R.L. | 128 | 3270 | 57519 | 57519 | Arabil | Extravilan | 15.688,00 | 54,00 | 358,02 |
32 | Vrancea![]() | Ţifeşti | Nicusor Ghimpu | 128 | 3270 | 61483 | 61483 | Arabil | Extravilan | 8.559,00 | 41,00 | 271,83 |
33 | Vrancea | Vânători | UAT Comuna Vânători**) | 38/5 | 186/27 | - | - | Arabil![]() | Extravilan | 25.000,00 | 180,00 | 512,46 |
34 | Vrancea | Vânători | Bazon Constantin | 38/5 | 186/27 | 58211 | 58211 | Arabil | Extravilan | 38.769,00 | 30,00 | 85,41 |
35 | Vrancea | Vânători![]() | UAT Comuna Vânători**) | 38/5 | 186/27 | - | - | Arabil | Extravilan | 70.000,00 | 210,00 | 597,87 |
36 | Vrancea | Pufeşti | Proprietar neidentificat*) | 15 | 134 | - | - | Arabil | Extravilan![]() | 4.400,00 | 11,00 | 72,93 |
37 | Vrancea | Pufeşti | Chelaru Petrica | 15 | 134 | - | - | Arabil | Extravilan | 3.800,00 | 19,00 | 125,97 |
38 | Vrancea | Pufeşti | Proprietar neidentificat*)![]() | 15 | 134 | - | - | Arabil | Extravilan | 1.471,00 | 29,00 | 192,27 |
39 | Vrancea | Pufeşti | Lazar Cristina Alina | 15 | 134 | 50243 | 50243 | Arabil | Extravilan | 4.537,00![]() | 23,00 | 152,49 |
40 | Vrancea | Pufeşti | Lazar Cristina Alina | 15 | 134 | 50243 | 50243 | Arabil | Extravilan | 4.537,00 | 200,00 | 1.326,00 |
41 | Vrancea | Pufeşti | Drăgălae Ion | 15 | 140 | 50061 | 50061 | Arabil | Extravilan | 1.677,00 | 290,00 | 1.922,70 |
42 | Vrancea | Pufeşti | UAT Comuna Pufeşti**) | 15 | 140 | - | - | Arabil | Extravilan | 23.757,00 | 2.261,00![]() | 14.990,43 |
43 | Vrancea | Pufeşti | Feraru Cătălin-Vasilică, Radu Marcela-Maria | 15 | 140 | 50063 | 50063 | Arabil | Extravilan | 1.475,00 | 188,00 | 461,92 |
44 | Vrancea | Pufeşti | Ionel Valeria, Ionel Vasile | 15 | 108![]() | 50043 | 50043 | Arabil | Extravilan | 1.132,00 | 26,00 | 172,38 |
45 | Vrancea | Adjud | Cristea Leonardo-Claudiu | 69 | 462/1 | 58010 | 58010 | Arabil | Extravilan | 92.365,00 | 11,00 | 123,98![]() |
46 | Vrancea | Adjud | Cristea Leonardo-Claudiu | 69 | 462/1 | 58010 | 58010 | Arabil | Extravilan | 92.365,00 | 11,00 | 123,98 |
47 | Vrancea | Adjud | Energycum W - S.R.L. | 66 | 440 | 54903![]() | 54903 | Arabil | Extravilan | 5.005,00 | 1,00 | 3,35 |
48 | Vrancea | Adjud | Energycum W - S.R.L. | 66 | 440 | 50111 | 50111 | Arabil | Extravilan | 5.000,00 | 1,00 | 3,35 |
49![]() | Vrancea | Adjud | Energycum W - S.R.L. | 66 | 440 | 50111 | 50111 | Arabil | Extravilan | 5.000,00 | 1,00 | 3,35 |
50 | Vrancea | Adjud | Energycum W - S.R.L. | 66 | 440 | 50111 | 50111![]() | Arabil | Extravilan | 5.000,00 | 1,00 | 3,35 |
51 | Vrancea | Adjud | Energycum W - S.R.L. | 66 | 440 | 54903 | 54903 | Arabil | Extravilan | 5.005,00 | 1,00 | 3,35 |
52 | Vrancea![]() | Adjud | Energycum W - S.R.L. | 66 | 440 | 54903 | 54903 | Arabil | Extravilan | 5.005,00 | 10,00 | 33,54 |
53 | Vrancea | Adjud | Energycum W - S.R.L. | 66 | 440 | 50111 | 50111 | Arabil | Extravilan | 5.000,00 | 14,00 | 46,96 |
54 | Vrancea | Adjud | Tehnostrade - S.R.L. | 22 | 229 | 59772 | 59772 | Arabil | Extravilan | 2.428,00 | 14,00 | 157,79 |
55 | Vrancea | Adjud![]() | Tehnostrade - S.R.L. | 22 | 229 | 59768 | 59768 | Arabil | Extravilan | 8.192,00 | 19,00 | 214,15 |
56 | Vrancea | Adjud | UAT Municipiul Adjud**) | 22 | 229 | - | - | Arabil | Extravilan![]() | 12.852,00 | 8,00 | 90,17 |
57 | Bacău | Parava | UAT Comuna Parava**) | 27 | 641 | - | - | Arabil | Extravilan | 4.564,00 | 41,00 | 73,55 |
58 | Bacău | Parava | UAT Comuna Parava**)![]() | 27 | 641 | - | - | Arabil | Extravilan | 636,00 | 14,00 | 25,12 |
59 | Bacău | Parava | UAT Comuna Parava**) | 27 | 641 | - | - | Arabil | Extravilan | 1.890,00![]() | 27,00 | 48,44 |
60 | Bacău | Parava | Cristea Valeria, Popa Maria, Damian Ilie, Iordachioaie Aneta Maria | 22, 27 | 615/53, 640/19 | 1145 | 1145 | Arabil | Extravilan | 2.472,00 | 4,00 | 7,18 |
61 | Bacău | Parava | Iordache Aneta, Iordache Mircea, Iordache Maria, Iordache Dumitru | 22, 27![]() | 615/52, 640/18 | 1143 | 1143 | Arabil | Extravilan | 2.470,00 | 37,00 | 66,38 |
62 | Bacău | Sascut | Iosub Nelu | 182 | 4748/52 | 63503 | 63503 | Arabil | Extravilan | 3.200,00 | 54,00![]() | 243,59 |
63 | Bacău | Cleja | Joca Gabriel-Iulian, Joca Ciprian Valentin, Joca Gabriela | 33 | 527/1 | 60426 | 60426 | Păşune | Extravilan | 82.891,00 | 42,00 | 139,23 |
64 | Bacău | Cleja | Acrîşmăriţei Alexandru Ionuţ, Acrismaritei Stefan Mihaita | 34 | 541![]() | 60439 | 60439 | Păşune | Extravilan | 162.703,00 | 42,00 | 139,23 |
65 | Bacău | Cleja | Acrîşmăriţei Alexandru Ionuţ, Acrismaritei Stefan Mihaita | 34 | 541 | 60439 | 60439 | Păşune | Extravilan | 162.703,00 | 42,00 | 139,23 |
66 | Bacău | Cleja | Cunea Maria, Duma Ion, Balint Ruja, Duma Stefan, Socivoi Elisabeta | 36 | 549/12 | 61991 | 61991 | Arabil | Extravilan | 5.142,00 | 94,00 | 398,37 |
67 | Bacău | Cleja | Demsa Anita | 36 | 549/27 | 62008![]() | 62008 | Arabil | Extravilan | 5.000,00 | 38,00 | 161,04 |
68 | Bacău | Cleja | Moize Mihai, Moize Petre, Moize Andrei, Moize Erja, Antal Verona, Moize Gheorghe, Moize Ilie | 36 | 549/22 | 62003 | 62003 | Arabil | Extravilan | 4.974,00 | 85,00 | 360,23 |
69![]() | Bacău | Cleja | Farcas Ferent | 36 | 549/23 | 62004 | 62004 | Arabil | Extravilan | 5.000,00 | 47,00 | 199,19 |
![]() | TOTAL | 5.366,00 | 31.428,76 |

